
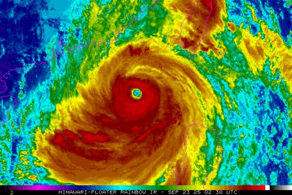
Siêu bão Ragasa, hình thành từ áp thấp nhiệt đới phía đông Philippines hôm 17.9, là cơn bão mạnh nhất thế giới kể từ đầu năm nay
ẢNH: AFP
Tờ The Straits Times ngày 10.10 dẫn một nghiên cứu vừa công bố cho thấy ô nhiễm không khí từ những đám cháy rừng ở Đông Nam Á có thể là nguyên nhân khiến các cơn bão trong khu vực trở nên mạnh hơn.
Nghiên cứu do giáo sư Steve Yim, Giám đốc Trung tâm Biến đổi khí hậu và Sức khỏe môi trường thuộc Đại học Công nghệ Nanyang (NTU), dẫn đầu, đã phân tích dữ liệu vệ tinh và thời tiết trong 10 năm qua trên khắp Đông Nam Á.
Kết quả cho thấy các cơn bão mạnh đang xuất hiện với tần suất và cường độ ngày càng lớn, đặc biệt tại khu vực Đông Nam Á hải đảo. Khu vực này gồm Brunei, Đông Timor, Indonesia, Malaysia, Philippines và Singapore.
Các nhà nghiên cứu cũng xác định cường độ bão dựa trên kích thước và mật độ của các giọt mưa. Họ phát hiện rằng các giọt mưa hình thành ở những khu vực ô nhiễm - nơi các hạt bụi trong không khí cản ánh nắng mặt trời chiếu xuống mặt đất - có kích thước lớn hơn đến 1,8 lần so với các giọt mưa ở những khu vực có không khí trong lành.
Ngoài việc đốt sinh khối, các dạng phát thải do con người gây ra ở Đông Nam Á còn đến từ nguồn đô thị và công nghiệp, chẳng hạn như khí thải xe cộ và việc đốt nhiên liệu trong sinh hoạt. Việc đốt nhiên liệu hóa thạch để sản xuất năng lượng cũng là một nguồn ô nhiễm đáng kể trong khu vực.
Nghiên cứu cho thấy các cơn bão ô nhiễm có thể làm lượng mưa tăng tới 50%.
Ô nhiễm không khí làm các cơn bão trở nên dữ dội hơn bằng cách làm tăng số lượng hạt mà hơi nước có thể ngưng tụ lên, giáo sư Yim giải thích.
Ông cho biết thêm, phát hiện này đặc biệt đáng chú ý vì Đông Nam Á là một trong những khu vực đốt sinh khối hàng đầu thế giới.
Ngoài ra, nghiên cứu còn nhận thấy rằng ô nhiễm không khí khiến các cơn bão nhiệt đới trở nên nguy hiểm hơn vì làm gia tăng đến 27% lượng sét.
Cuối cùng, các nhà nghiên cứu phát hiện rằng những cơn bão trong điều kiện ô nhiễm có phạm vi ảnh hưởng rộng hơn, với phạm vi lan rộng của bão gần như tăng gấp đôi khi có sự hiện diện của các hạt li ti trong không khí.
Nhận định về tầm quan trọng của nghiên cứu trên, giáo sư Matthias Roth tại Đại học Quốc gia Singapore (NUS), người không tham gia vào nghiên cứu, cho biết kết quả trên có thể giúp cải thiện công tác dự báo thời tiết cực đoan, nâng cao độ chính xác của các mô hình khí hậu và hỗ trợ hoạch định chính sách về chất lượng không khí.





.jpg)






.jpg)



